| ID: | 48653 |
|---|---|
| MLS ID: | 24471487 |
| MLS Nubmer: | 10254919 |
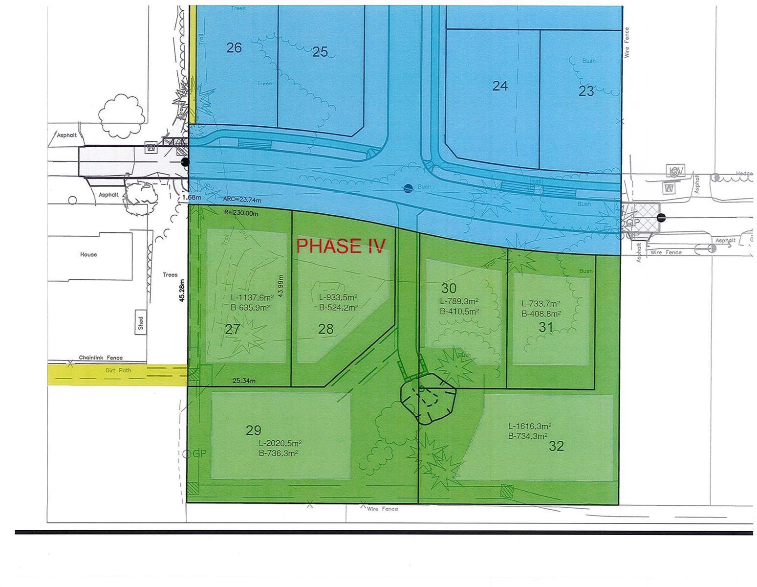
| description: | LAMBS HILL Phase 4.....The last of the lots in this picturesque setting located in North Broadview, considered the sun belt of Salmon Arm. These mountain view lots are generous in size and are the last of this 32 lot development to be offered for sale. Zoned R-1 and backing up to ALR land (Northgate Cidery) this 1/2 acre lot is within close proximately to Shaw Centre, Uptown Askews and both Salmon Arm Sr High School and Bastion elementary. Whether you are a family or an empty nester, you will want to live and play in this neighborhood. |
| address: | #PL 29 3510 20 Avenue NE |
| postal code: | V1E1Z3 |
| city: | Salmon Arm |
| latitude: | 50.71127600 |
| longitude: | -119.24528300 |
| type: | No Building |
| sub_type: | Vacant Land |
| size_total: | 0.49 ac|under 1 acre |
| view_type: | Mountain view |
| utility_type: | Cable (At Lot Line), Natural Gas (At Lot Line), Sewer (At Lot Line), Telephone (At Lot Line), Electricity (At Lot Line), Water (At Lot Line) |