SnapRealty.ca
Back
ID: 39095
MLS ID: 24396457
MLS Nubmer: R2688256
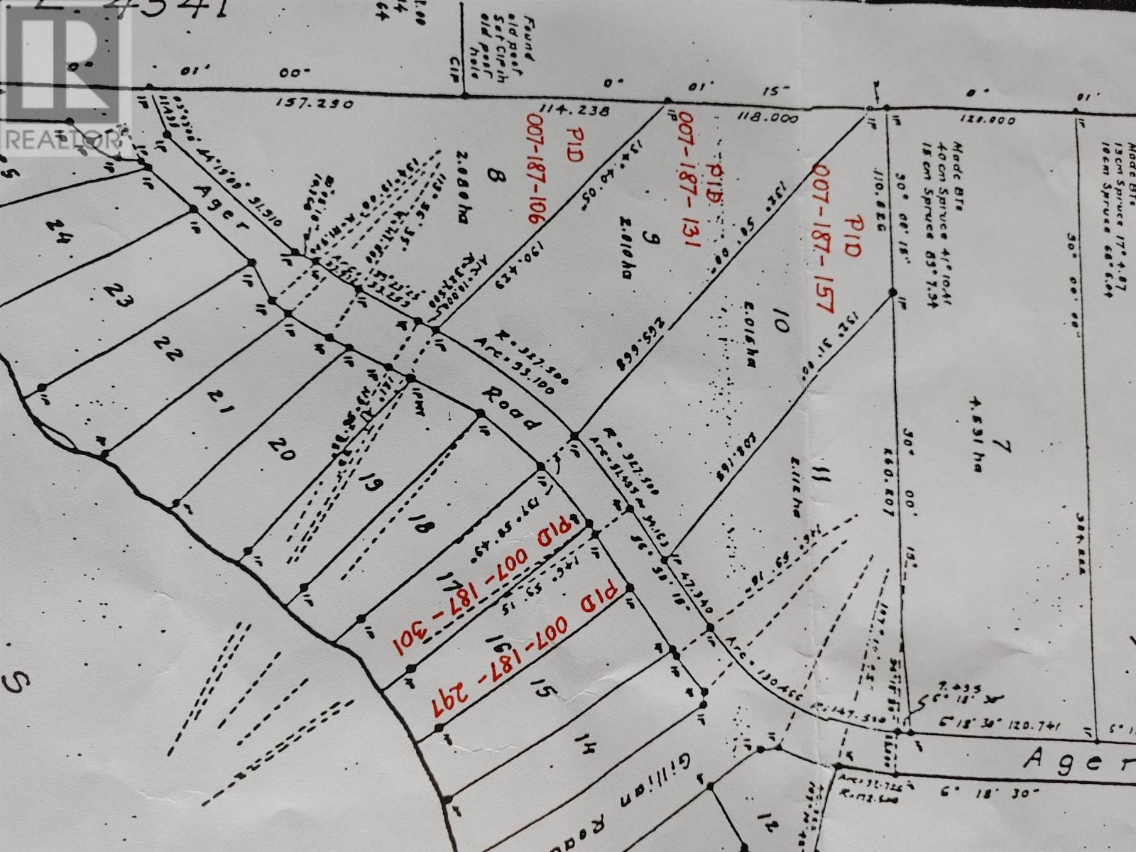
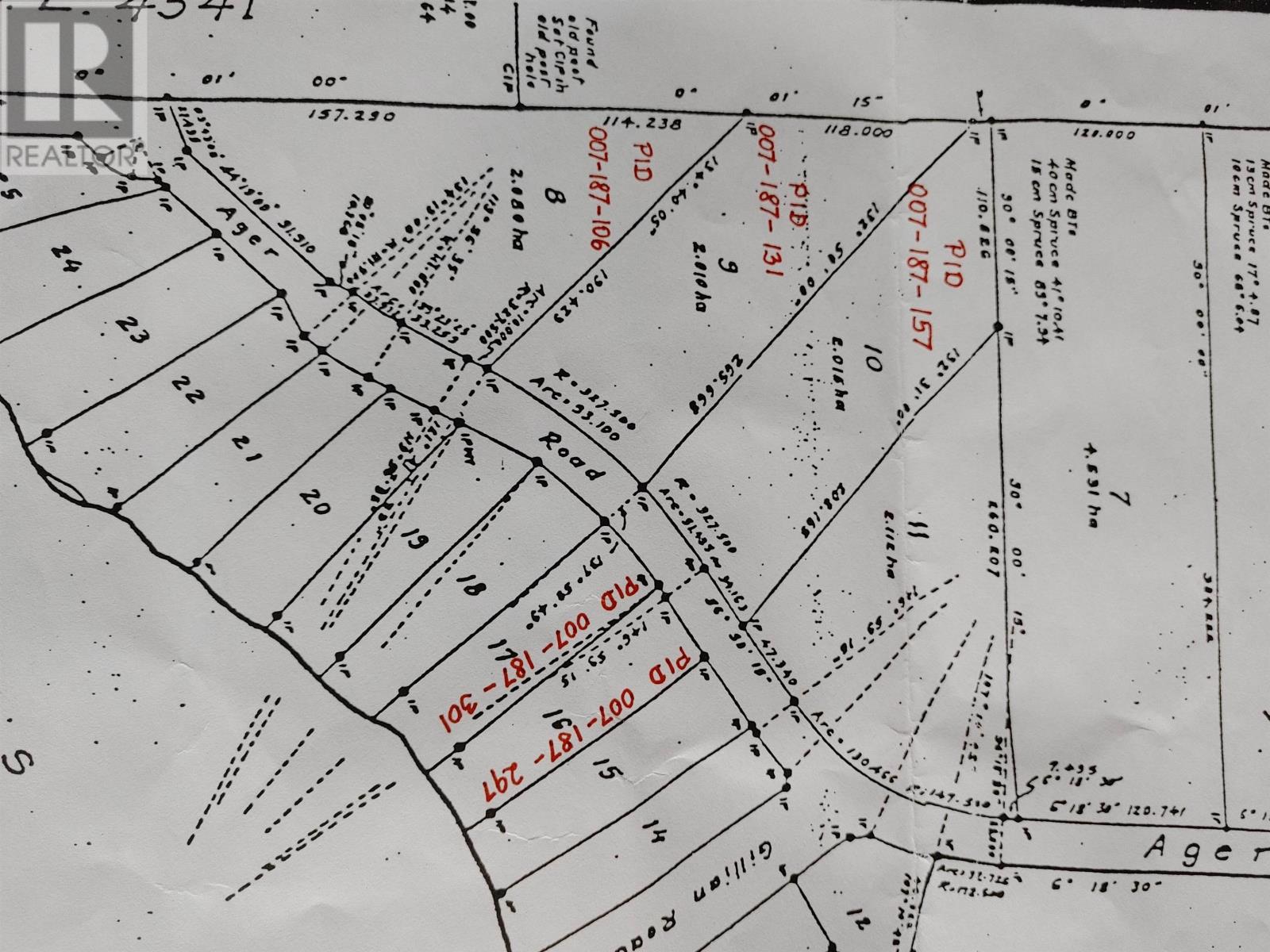
description: This nicely treed and private 5.573 acre lot offers views of Francois Lake and is situated close to a public lake access at the end of a private road with some beautiful mature growth that would be suitable to build your own log cabin with level building sites. This property is a scenic 50 min drive from Burns Lake (roads maintained year-round) which offers shopping, restaurants, a newer hospital and is considered the Heart of the Lakes District which embraces over 300 wilderness fishing lakes. Francois Lake is one of the biggest natural lakes in British Columbia and is renowned for great fishing and boating. Zoning Small Holdings allows for a single or two family dwelling. Hydro across the road. For anyone looking for more land, two adjoining properties (lot 9 & 10) are for sale as well.
address: LOT 8 AGER ROAD
postal code: V0J1E2
city: Burns Lake
latitude: 53.99943956
longitude: -126.30948577
sub_type: Vacant Land
size_total: 5.57 ac
construction_style_attachment: Unknown