SnapRealty.ca
Back
ID: 38997
MLS ID: 24396088
MLS Nubmer: R2688223
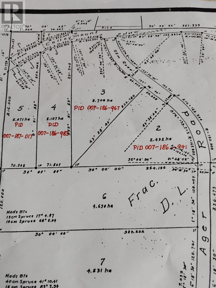
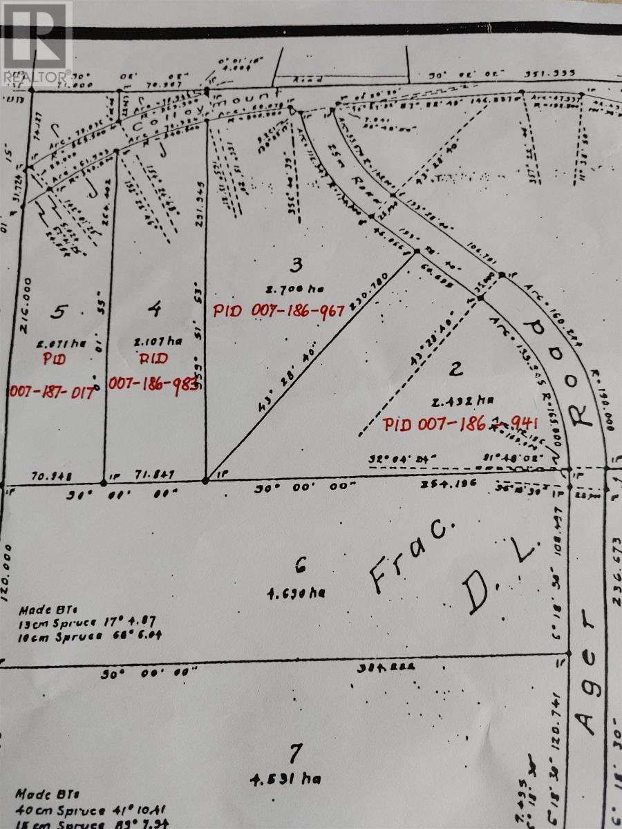
description: Nicely treed and private 6.724 acres close to Francois Lake (two public lake accesses close by) at an affordable price with some beautiful mature growth that would be suitable to build your own log cabin with level building sites. This property is a scenic 50 min drive from Burns Lake (roads maintained year-round) which offers shopping, restaurants, a newer hospital and is considered the Heart of the Lakes District which embraces over 300 wilderness fishing lakes. Francois Lake is one of the biggest natural lakes in British Columbia and is renowned for great fishing and boating. Zoning Small Holdings allows for a single or two family dwelling. Hydro on Colleymount Road. For anyone looking for more land, three adjoining properties (Lot 2, 4 & 5) are for sale as well.
address: LOT 3 AGER ROAD
postal code: V0J1E2
city: Burns Lake
latitude: 54.00316013
longitude: -126.30362783
sub_type: Vacant Land
size_total: 6.72 ac
construction_style_attachment: Unknown